健康も美肌も同じクリニックで、
たまプラーザで、内科×美肌ケア。
当院ではフォトフェイシャル、Stellar M22を導入しました。
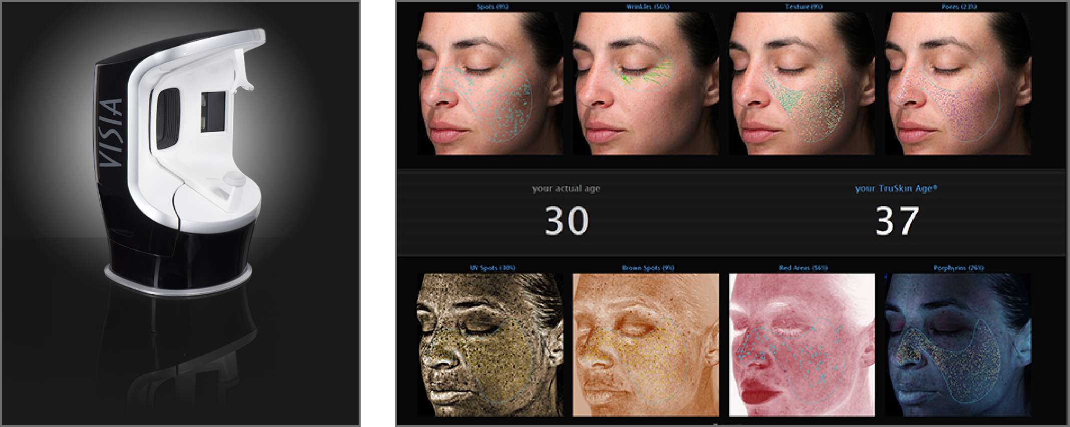
VISIA
まず初診時VISIA肌診断であなたの肌を数値化。VISIAが高性能カメラと分析技術により肉眼では見えない肌内部のシミ・シミ予備軍・赤み・毛穴・キメを数値化、可視化します。まずは肌の現在地を知り肌の状態×目標に合わせてオーダーメイドで治療します。
フォトフェイシャル®とは
IPL(Intense Pulsed Light)という肌にやさしい光をお顔全体に照射して、
シミ、くすみ、赤ら顔、小じわ、毛穴の開きなどを改善する美肌治療です。
しみや赤ら顔などの改善とともに、真皮層にも働きかけることでコラーゲンを増生し、肌のキメや質感を整えます。
マイルドな治療で、複数回繰り返すことでより効果が実感できます。
ルミナスIPLの歴史
Stellar M22は、M22の進化機
更に使いやすく、患者様個々の状態に応じてより効果的で、安全性の高い治療を実現します
当クリニックは近隣では導入施設の限られている最新のStellerM22を導入しております。
Stellar M22の波長
-
515nmが承認され、Stellar M22に標準搭載されます
-
Stellar M22はフィルタを変えることで波長域を変換できます
フィルタを使い分けることで患者様個々の状態に応じて治療することが可能です
フォトフェイシャル®の
メカニズム
-
光老化によりメラニン色素が沈着してシミやそばかすがあり、肌が不均一な状態。
-
IPLの光が肌トラブルの原因となっているターゲット(メラニンや毛細血管)に当たると、ターゲットに吸収され、熱に変わり、ダメージを与えます。
-
赤外線領域の光も含まれているため、繊維芽細胞が活性化され、内側から美しい肌に。
IPLは様々な波長を
含んだ光により、
複合的なスキントラブルを
改善します
このような方におすすめ
—シミやくすみ、赤ら顔、毛穴の開きなど複合的なお悩みをお持ちの方
— 気軽に受けられる治療をご希望の方
施術時間は約15分で終了します。
— 周囲に気が付かれずに治療されたい方
治療後、ガーゼや絆創膏の必要がなく、直後からメイク・ファンデーションも可能です。
— 痛みの少ない治療をご希望の方
ゴムでパチンと弾かれた程度で、麻酔も不要です。
レーザー治療との違い
|
レーザー治療 |
フォトフェイシャル® |
| 効果 |
ターゲットのみを改善 (シミならシミだけ) |
顔全体の肌トラブルを改善 (シミだけでなく、くすみや赤ら顔など肌全体を改善) |
施術回数 ・期間 |
1回(または短期間) |
複数回(3-4週間に1回)の施術 |
| 痛み |
強い痛み 麻酔が必要なことが多い |
ゴムでパチンと弾かれた程度 麻酔は不要 |
| ダウンタイム |
傷になる ガーゼや絆創膏が必要 |
傷にならない 直後からメイク、ファンデーションも可能 |
施術の流れ
-
❶メイクやクリームなどを完全に落とします
-
❷冷却ジェルを塗布
肌を保護するため、冷却ジェルを塗布します。
-
❸IPLを照射
照射は10分。カメラのフラッシュのような眩しさや、ゴムでパチンと弾かれた程度の痛みがあります。
-
❹クーリングパックを行い治療終了です。
直後からメイクが可能です。
紫外線対策を行なってください。
起こり得る副作用
ごく稀ではありますが、施術後に起こり得る
一般的な副作用は以下のとおりです。
色素の変化(色素脱失・色素沈着)
ほとんどは皮膚の色が濃い方や施術前後に紫外線に暴露された場合に起こります。
多くの場合、半年~1年程度で消失しますが、半永久的に改善しない場合もあります。
過敏な皮膚反応
皮膚が過敏な状態になる場合があります。
紅斑
施術後に紅斑が見られる場合があり、1-3日間程度続く場合があります。
過度の膨れ
施術直後、皮膚が一時的に膨れる場合があります。
痒み、毛包周囲の赤み
施術部位に痒みや、毛包周囲に赤みが出現する場合があります。その部位を十分
に冷やすことで軽減できる場合もありますが、症状が持続する場合もあります。
紫斑
紫斑(青紫のあざ)ができることがあります。
熱傷
熱傷によって痂皮や水疱ができる可能性があり、
全治まで5-10日程度かかる場合があります。
施術後の注意点
・紫外線対策を必ず行ってください
・直後はひりひりした感じや赤みが数時間残ることがあります。
・施術直後から乾燥肌になることがありますので、保湿するようにしてください。
・数日後、しみやそばかすの部分が濃く浮き出たような感じがする場合があります。
これは回復に向かっている傾向で、数日で痂皮(かさぶた)となって自然に剥がれ落ちます。
料金(税込)
| VISIA撮影+結果説明 |
3,300円 |
| 初回のみ全顔1回 |
13,000円 |
| 全顔1回 |
17,000円 |
| 5回コース |
79,000円 |